Skip to content
Science Friday
play
 
 
Latest Broadcast
Science Friday

Main Menu

  • Audio
    • Broadcasts
    • Podcasts
    • The Leap
    • State of Science
    • Contribute Your Voice
  • Articles
    • All Articles
    • Tiny Nature Triumphs
    • Science Goes To The Movies
    • Astronomy: Made in Latin America
    • Science Policy
  • Educate
    • All Educational Resources
    • Oceans Month
    • Down To Earth
    • Hack Your Brain
    • Sun Camp
  • Community
    • Events
    • SciFri Book Club
    • Cephalopod Week
  • About
    • About Science Friday
    • Stations
    • Staff & Board
    • Newsletters
    • Careers
    • Contact Us

Utility Menu

  • En Español
  • Shop
  • Donate
  • Facebook
  • Facebook Messenger
  • X

  • SMS
  • WhatsApp
  • Email

Kenneth Meyer

Kenneth Meyer is the Executive Director of the Avian Research and Conservation Institute at the University of Florida in Gainesville, Florida.

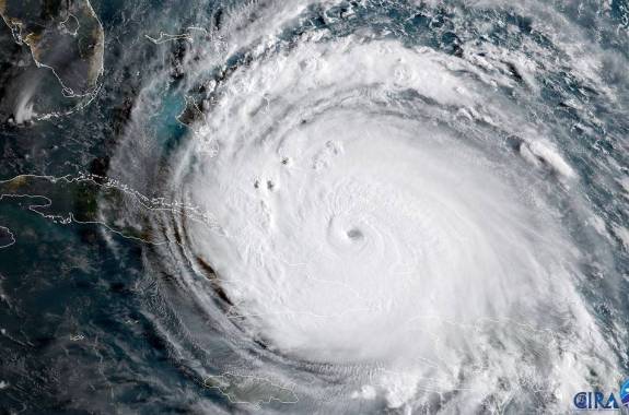
hurricane irma
Segment

12:07

How Hurricane Irma Could Affect Florida’s Endangered Species

Biologists wait to assess the damage done to a delicate ecosystem.

Read More

Footer

Science Friday

30 Broad Street, Suite 801
New York, NY 10004

Social Media Menu

  • Instagram, opens in new tab
  • Facebook, opens in new tab
  • X, opens in new tab
  • Youtube, opens in new tab
  • Threads, opens in new tab
  • Bluesky, opens in new tab
  • LinkedIn, opens in new tab
  • TikTok, opens in new tab
  • RSS, opens in new tab

Footer Menu

  • About Us
  • Donate
  • Shop
  • Newsletters
  • Stations
  • Staff & Board
  • Careers
  • Contact
  • Press

Donate

$52

Give a dollar for every Friday!

Thank you for helping us continue making science fun for everyone.

Support Science Friday today

Science Friday® is produced by the Science Friday Initiative, a 501(c)(3) nonprofit organization.

XThis website uses cookies to improve your experience. We'll assume you're okay with this, but you can opt-out if you wish.Read more.SETTINGSREJECTACCEPT
Manage consent

Privacy Overview

This website uses cookies to improve your experience while you navigate through the website. Out of these cookies, the cookies that are categorized as necessary are stored on your browser as they are essential for the working of basic functionalities of the website. We also use third-party cookies that help us analyze and understand how you use this website. These cookies will be stored in your browser only with your consent. You also have the option to opt-out of these cookies. But opting out of some of these cookies may have an effect on your browsing experience.
Necessary
Always Enabled
Necessary cookies are absolutely essential for the website to function properly. These cookies ensure basic functionalities and security features of the website, anonymously.
CookieDurationDescription
_abck1 yearThis cookie is used to detect and defend when a client attempt to replay a cookie.This cookie manages the interaction with online bots and takes the appropriate actions.
ASP.NET_SessionIdsessionIssued by Microsoft's ASP.NET Application, this cookie stores session data during a user's website visit.
AWSALBCORS7 daysThis cookie is managed by Amazon Web Services and is used for load balancing.
bm_sz4 hoursThis cookie is set by the provider Akamai Bot Manager. This cookie is used to manage the interaction with the online bots. It also helps in fraud preventions
cookielawinfo-checkbox-advertisement1 yearSet by the GDPR Cookie Consent plugin, this cookie is used to record the user consent for the cookies in the "Advertisement" category .
cookielawinfo-checkbox-analytics11 monthsThis cookie is set by GDPR Cookie Consent plugin. The cookie is used to store the user consent for the cookies in the category "Analytics".
cookielawinfo-checkbox-functional11 monthsThe cookie is set by GDPR cookie consent to record the user consent for the cookies in the category "Functional".
cookielawinfo-checkbox-necessary11 monthsThis cookie is set by GDPR Cookie Consent plugin. The cookies is used to store the user consent for the cookies in the category "Necessary".
cookielawinfo-checkbox-others11 monthsThis cookie is set by GDPR Cookie Consent plugin. The cookie is used to store the user consent for the cookies in the category "Other.
cookielawinfo-checkbox-performance11 monthsThis cookie is set by GDPR Cookie Consent plugin. The cookie is used to store the user consent for the cookies in the category "Performance".
csrftokenpastThis cookie is associated with Django web development platform for python. Used to help protect the website against Cross-Site Request Forgery attacks
JSESSIONIDsessionThe JSESSIONID cookie is used by New Relic to store a session identifier so that New Relic can monitor session counts for an application.
nlbi_972453sessionA load balancing cookie set to ensure requests by a client are sent to the same origin server.
PHPSESSIDsessionThis cookie is native to PHP applications. The cookie is used to store and identify a users' unique session ID for the purpose of managing user session on the website. The cookie is a session cookies and is deleted when all the browser windows are closed.
TiPMix1 hourThe TiPMix cookie is set by Azure to determine which web server the users must be directed to.
viewed_cookie_policy11 monthsThe cookie is set by the GDPR Cookie Consent plugin and is used to store whether or not user has consented to the use of cookies. It does not store any personal data.
visid_incap_9724531 yearSiteLock sets this cookie to provide cloud-based website security services.
X-Mapping-fjhppofksessionThis cookie is used for load balancing purposes. The cookie does not store any personally identifiable data.
x-ms-routing-name1 hourAzure sets this cookie for routing production traffic by specifying the production slot.
Functional
Functional cookies help to perform certain functionalities like sharing the content of the website on social media platforms, collect feedbacks, and other third-party features.
CookieDurationDescription
__cf_bm30 minutesThis cookie, set by Cloudflare, is used to support Cloudflare Bot Management.
bcookie2 yearsLinkedIn sets this cookie from LinkedIn share buttons and ad tags to recognize browser ID.
bscookie2 yearsLinkedIn sets this cookie to store performed actions on the website.
langsessionLinkedIn sets this cookie to remember a user's language setting.
lidc1 dayLinkedIn sets the lidc cookie to facilitate data center selection.
S1 hourUsed by Yahoo to provide ads, content or analytics.
sp_landing1 dayThe sp_landing is set by Spotify to implement audio content from Spotify on the website and also registers information on user interaction related to the audio content.
sp_t1 yearThe sp_t cookie is set by Spotify to implement audio content from Spotify on the website and also registers information on user interaction related to the audio content.
UserMatchHistory1 monthLinkedIn sets this cookie for LinkedIn Ads ID syncing.
Performance
Performance cookies are used to understand and analyze the key performance indexes of the website which helps in delivering a better experience for the visitors. They help us to know which pages are the most and least popular and see how visitors move around the site. All information these cookies collect is aggregated and therefore anonymous. If you do not allow these cookies we will not know when you have visited our site, and will not be able to monitor its performance.
CookieDurationDescription
__jid30 minutesCookie used to remember the user's Disqus login credentials across websites that use Disqus.
_gat1 minuteThis cookie is installed by Google Universal Analytics to restrain request rate and thus limit the collection of data on high traffic sites.
_gat_UA-28243511-221 minuteA variation of the _gat cookie set by Google Analytics and Google Tag Manager to allow website owners to track visitor behaviour and measure site performance. The pattern element in the name contains the unique identity number of the account or website it relates to.
AWSALB7 daysAWSALB is an application load balancer cookie set by Amazon Web Services to map the session to the target.
countryCodesessionThis cookie is used for storing country code selected from country selector.
Audience Measurement
Analytical cookies are used to understand how visitors interact with the website. These cookies help provide anonymized information on metrics the number of visitors, bounce rate, traffic source, etc. The use of these cookies is strictly limited to measuring the site's audience. These cookies do not allow the tracking of navigation on other websites and the data collected is not combined or shared with third parties.
Advertisement
Advertisement cookies are used to provide visitors with relevant ads and marketing campaigns. These cookies track visitors across websites and collect information to provide customized ads.
CookieDurationDescription
_fbp3 monthsThis cookie is set by Facebook to display advertisements when either on Facebook or on a digital platform powered by Facebook advertising, after visiting the website.
fr3 monthsFacebook sets this cookie to show relevant advertisements to users by tracking user behaviour across the web, on sites that have Facebook pixel or Facebook social plugin.
IDE1 year 24 daysGoogle DoubleClick IDE cookies are used to store information about how the user uses the website to present them with relevant ads and according to the user profile.
NID6 monthsNID cookie, set by Google, is used for advertising purposes; to limit the number of times the user sees an ad, to mute unwanted ads, and to measure the effectiveness of ads.
personalization_id2 yearsTwitter sets this cookie to integrate and share features for social media and also store information about how the user uses the website, for tracking and targeting.
test_cookie15 minutesThe test_cookie is set by doubleclick.net and is used to determine if the user's browser supports cookies.
vglnk.Agent.p1 yearVigLink sets this cookie to track the user behaviour and also limit the ads displayed, in order to ensure relevant advertising.
vglnk.PartnerRfsh.p1 yearVigLink sets this cookie to show users relevant advertisements and also limit the number of adverts that are shown to them.
VISITOR_INFO1_LIVE5 months 27 daysA cookie set by YouTube to measure bandwidth that determines whether the user gets the new or old player interface.
YSCsessionYSC cookie is set by Youtube and is used to track the views of embedded videos on Youtube pages.
yt-remote-connected-devicesneverYouTube sets this cookie to store the video preferences of the user using embedded YouTube video.
yt-remote-device-idneverYouTube sets this cookie to store the video preferences of the user using embedded YouTube video.
yt.innertube::nextIdneverThis cookie, set by YouTube, registers a unique ID to store data on what videos from YouTube the user has seen.
yt.innertube::requestsneverThis cookie, set by YouTube, registers a unique ID to store data on what videos from YouTube the user has seen.
Others
Other uncategorized cookies are those that are being analyzed and have not been classified into a category as yet.
CookieDurationDescription
_dc_gtm_UA-28243511-201 minuteNo description
abtest-identifier1 yearNo description
AnalyticsSyncHistory1 monthNo description
ARRAffinityCUsessionNo description available.
ccc1 monthNo description
COMPASS1 hourNo description
cookies.js_dtestsessionNo description
debugneverNo description available.
donation-identifier1 yearNo description
fneverNo description available.
GFE_RTT5 minutesNo description available.
incap_ses_1185_2233503sessionNo description
incap_ses_1185_823975sessionNo description
incap_ses_1185_972453sessionNo description
incap_ses_1319_2233503sessionNo description
incap_ses_1319_823975sessionNo description
incap_ses_1319_972453sessionNo description
incap_ses_1364_2233503sessionNo description
incap_ses_1364_823975sessionNo description
incap_ses_1364_972453sessionNo description
incap_ses_1580_2233503sessionNo description
incap_ses_1580_823975sessionNo description
incap_ses_1580_972453sessionNo description
incap_ses_198_2233503sessionNo description
incap_ses_198_823975sessionNo description
incap_ses_198_972453sessionNo description
incap_ses_340_2233503sessionNo description
incap_ses_340_823975sessionNo description
incap_ses_340_972453sessionNo description
incap_ses_374_2233503sessionNo description
incap_ses_374_823975sessionNo description
incap_ses_374_972453sessionNo description
incap_ses_375_2233503sessionNo description
incap_ses_375_823975sessionNo description
incap_ses_375_972453sessionNo description
incap_ses_455_2233503sessionNo description
incap_ses_455_823975sessionNo description
incap_ses_455_972453sessionNo description
incap_ses_8076_2233503sessionNo description
incap_ses_8076_823975sessionNo description
incap_ses_8076_972453sessionNo description
incap_ses_867_2233503sessionNo description
incap_ses_867_823975sessionNo description
incap_ses_867_972453sessionNo description
incap_ses_9117_2233503sessionNo description
incap_ses_9117_823975sessionNo description
incap_ses_9117_972453sessionNo description
li_gc2 yearsNo description
loglevelneverNo description available.
msToken10 daysNo description
Save & Accept